Forklaring på hvad der udskiftes i brøndene
Vores veje
Det kan være svært at huske hvor gode vores veje var, da vi var ved afslutningen af kloakeringen.
Der er desværre ikke billeder af haveforenings veje, da de stod helt færdige, pga. et kamera der gik i stykker 🙁
Et kig på vores gamle dræn
Som en del af kloakeringsprojektet, har vi lavet et grundigt kig på vores eksisterende drænledning der går fra have 1, og op til have 65/66
Se mere på siden Den Gamle Drænledning, hvor der er video og billeder.. Hvis du vil ‘nørde’ dræn 🤓
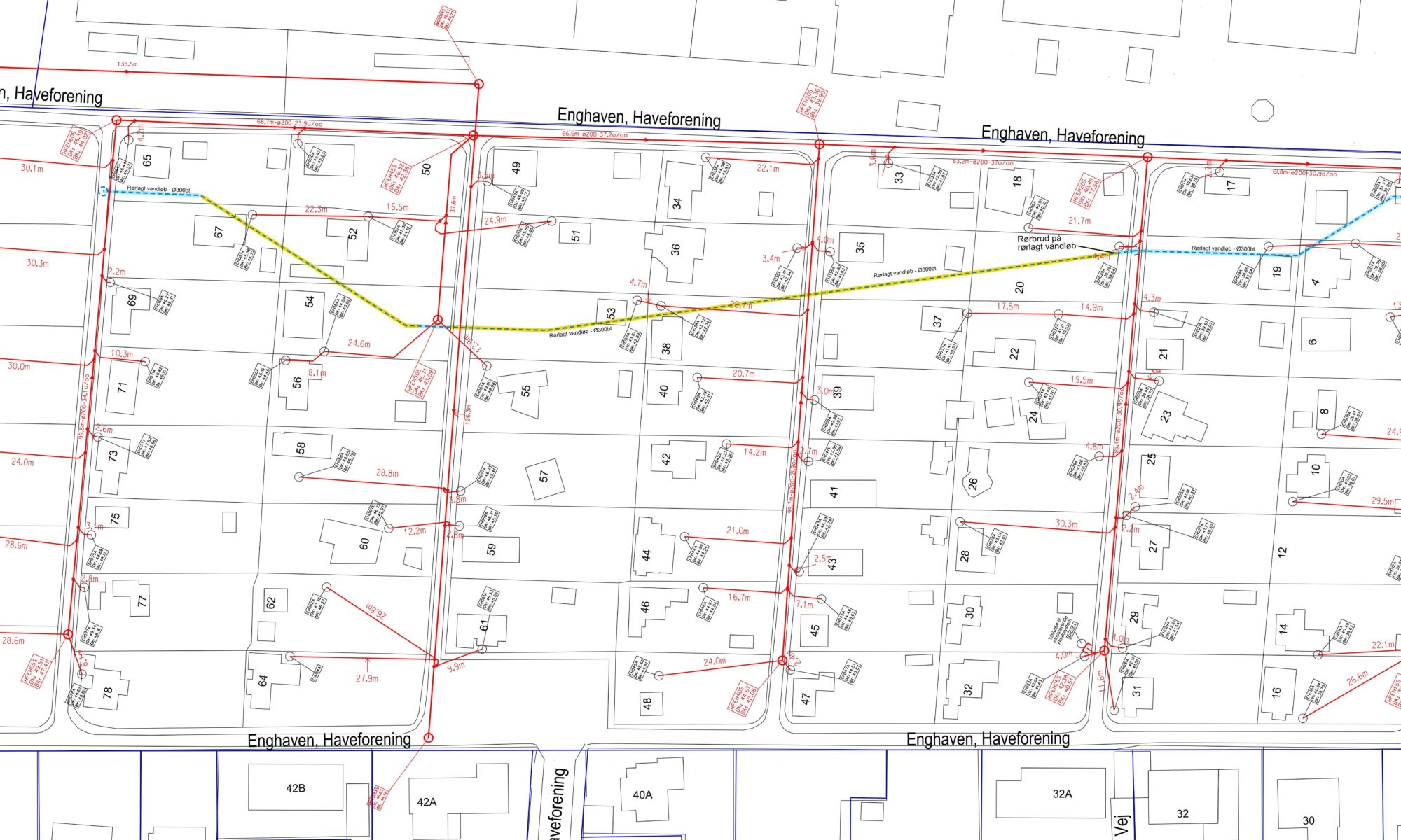
Endelig! Kort over kloakanlæg
Download pdf kort
Se hvordan kloakeringen ser ud i Enghave.
Kortet skulle være rimelig rigtigt – men med forbehold.
Opdateret efterår 2021
Link direkte til BorgerGIS hos Aarhus Kommune
Her kan du også se hvordan kloakeringen er udført.
Man kan tegne og måle på kortet og se en masse andet info.
Bla. nyeste overflyvningsfoto, som bliver taget i foråret.
Et værktøj der måske også kan bruges når du laver en byggeansøgning?
Men bemærk, at alt ikke er målt op med GPS!
Kan jeg få dispensation for kloakeringen?
[OBS: Har du haft besøg af en kloakmester og er tilsluttet. Skal du IKKE søge en dispensation!.
Din kloakmester godkender og sender ind til kommunen.]
Vi har i kloakeringsudvalget modtaget følgende omkring at søge dispensation :
I tilfælde af at du skal i gang med at bygge nyt hus eller du ikke har vand i huset, kan der søges dispensation. Dispensationen søges hos Myndighed for- Spildevand, klimaogvand@mtm.aarhus.dk
Husk at oplyse at det drejer sig om Haveforeningen Enghave have nr xx, skriv en forklaring for hvorfor du først kan tilslutte senere, og oplys også hvornår du forventer du kan have tilsluttet.
Fristen for at søge dispensation er 1. januar
Pris og vigtig info
Vi nærmer os så småt afslutningen af kloakeringsprojektet i HF Enghave – tidslinjen går helt tilbage til 2011, hvor det blev pålagt, at alle kolonihaver i Aarhus Kommune skulle kloakeres. Vi startede her i haveforeningen med at spare op i 2015, hvor vi også fik ny lejekontrakt med Åby Sogn under forudsætning af kloakering. Selve gravearbejdet startede i oktober 2020 i samarbejde med VAM og Envidan. Læs videre “Pris og vigtig info”
Tilmelding til tømning i næste uge
Ønsker du at få tømt din septiktank i næste uge kan du stadig nå det.
Prisen er 440 kr.
Jesper hjælper til og vil derfor gerne have en beskrivelse af hvor tanken er. Læs videre “Tilmelding til tømning i næste uge”
Ny bunke sand er bestilt
På tirsdag (d. 1. juni) får vi leveret en bunke harpet sand mere.
Sandet kan bruges omkring egne kloakrør, fra samlebrønd til hus.
Læs videre “Ny bunke sand er bestilt”
Kloakeringsprojektet officielt afsluttet med VAM
Fredag den 7. maj afsluttede vi officielt kloakeringsprojektet med VAM.
Der er dog ifm. tv-inspektionen fundet nogle enkelte fejl på systemet, som VAM senest 21/5-2021 vil udbedre. Det betyder, at de fortsat vil skulle i jorden på nogle af stikvejene og i enkelte haver i de kommende uger. Vi forventer ikke, at det vil genere en hel masse og vi har kontaktet den lille håndfuld berørte haver hvor VAM bliver nødt til at grave. Læs videre “Kloakeringsprojektet officielt afsluttet med VAM”
Sand til fri afhentning
Ingen parkering på p-plads
I morgen, torsdag den 29. april vil VAM retablere p-pladsen til samme stand som før kloakeringen.
Derfor skal vi have tømt p-pladsen for vores biler.
P-pladsen skal være fri for biler fra i aften til torsdag eftermiddag.
Vi håber I vil hjælpe med at sørge for, at det sker.
Mvh. Kloakeringsudvalget i Enghave
Tilmelding: Tømning af sivebrønde og septiktanke
Vi har i kloakeringsudvalget undersøgt forskellige løsninger for at få tømt vores gamle tanke.
Vi er kommet frem til at få det gjort med en lille kloakbil og vi vil nu tilbyde at få det gjort fælles. Både for at spare penge og for at begrænse mængden af kloakbiler, på vores fine nye veje. Læs videre “Tilmelding: Tømning af sivebrønde og septiktanke”
